Mes jaunes, apprentis dresseurs. 4 ans de rattrapa
Sujet commencé par : julizz - Il y a 576 réponses à ce sujet, dernière réponse par julizz3 personnes suivent ce sujet.
Par julizz : le 21/06/11 à 00:21:55
| Dire merci | En espérant que cet énième post ne coule pas ![]() Je suis fan de dressage et je travaille beaucoup mes poneys dans ce sens, sans véritable méthode, principalement en les écoutant. Mon gros ponito d'amour, Kim, fjord que j'ai depuis 3 ans, quand j'avais 13 ans. Première fois que je le vois. ![]() Niveau boulot, ça a été assez compliqué au début. On ne se comprenait pas vraiment, j'étais trop exigeante. Il ne pouvait pas me donner ce que je lui demandais. J'ai été mal encadré et je l'ai monté en coup de poing, pelham, releveur .. Je décide alors de le travailler seul, en prenant notre temps. J'ai eu beaucoup de périodes de déceptions, ne sachant pas si j'allais réussir à tirer quelque chose de ce gros poney. On a quand même réussi, après 3 ans de boulot, à voir un changement significatif .. Eté 2009. Un poney qui ne galope pas sous la selle en carrière,ou avec beaucoup de difficulté. ![]() Et maintenant .. Je crois que mon sourire en dit assez ![]() On commence à apercevoir un poney de dressage, tout ce dont je rêvais ! ![]() ![]() ![]() On s'éclate aussi à pied. ![]() ![]() Lève le pied, grand fou ! ![]() Message édité le 10/01/21 à 15:21 |
Par melek : le 04/10/14 à 19:34:35
DéconnectéDire merci | Oui, tu en avais parlé sur le post des étudiants, c'est pour ça que je te posais la question ![]() Je ne suis pourtant pas trop pays du Nord mais ça a vraiment l'air chouette ! |
Par julizz : le 05/10/14 à 12:07:48
| Dire merci | Je remets les photos de mon dernier poste![]() ![]() ![]() ![]() Je n'ai pas pris de photos de l'intérieur car ça ne donnait rien.. Juste une photo depuis une petite fenêtre ![]() ![]() ![]() Ensuite je suis allée de l'autre côté du lac, dan la forêt qu'on voit sur la photo au dessus Les couleurs de l'automne sont juste extraordinaires Tout est dans les tons dorés, cuivrés, je trouve ça tellement beauEn photos ça ne ressort pas tant que ça, c'est dommage ![]() ![]() ![]() Petite pose pour la route ![]() ![]() ![]() ![]() ![]() Cette palette de couleur.. ![]() |
Par julizz : le 05/10/14 à 12:11:34
| Dire merci | D'autres photos![]() ![]() ![]() Pony house! ![]() Aaaah, le finnois ![]() Et dire que j'essaie de l'apprendre ![]() |
Par sheytana : le 05/10/14 à 21:17:42
| Dire merci | LOL |
Par noémmie : le 05/10/14 à 22:37:21
| Dire merci | Bon courage pour apprendre la langue ![]() Les paysages sont sublime, des balades à cheval dans cet endroit doit être magique ![]() |
Par julizz : le 08/10/14 à 16:33:57
| Dire merci | Je sais dire les basiques de chez basiques en finnois, c'est déjà pas mal J'ai ENFIN un cours de planifier, j'ai cru que ça n'arriverait jamais vu le temps que la prof mettait à répondre à mes mails! Je vais donc faire du poney vendredi après midi, cours d'une heure avec juste la propriétaire des écuries. Trop trop hâte de reposer mes fesses sur un cheval |
Par Maathiilde : le 08/10/14 à 18:56:33
| Dire merci | Les photos donnent envie, puisque j'adore ce genre de pays Je t'envie. Profite en bien ! |
Par Ice Queen : le 09/10/14 à 12:38:35
| Dire merci | Trop les photos et totu, c'est trop du bonheur d'ouvrir ton post!!! Et alors c'est quand que tu montes à poney là |
Par julizz : le 09/10/14 à 14:14:12
| Dire merci | Je pourrais bosser dans une office de tourisme si j'arrive à convaincre autant de personne d'aller là bas Demain le poney, demain!! En plus ma copine de classe que j'ai été voir monter l'autre jour m'accompagne, j'aurai des photos/vidéos |
Par noémmie : le 09/10/14 à 15:28:42
| Dire merci | Yes !!! des photos et vidéos ![]() |
Par Ice Queen : le 09/10/14 à 15:51:54
| Dire merci | Trop de la balle, bon va falloir faire comme dans les pubs HKM alors |
Par julizz : le 09/10/14 à 17:41:35
| Dire merci | Je crois que ça ne va pas faire le même effet, notamment si on prend en compte le fait que je n'ai pas de bombe et qu'on va surement m'en prêter une très moche Peut-être une balade sur des chevaux islandais de prévue ![]() |
Par julizz : le 10/10/14 à 19:31:07
| Dire merci | De retour de ma session poney! ![]() Que ça fait du bien de remonter à cheval. Mais ohlala je sens déjà mes jambes!! J'ai monté cette jolie princesse ![]() Elle s'appelle Pandora, elle a 6 ans et ce n'est rien d'autre qu'une trakehner Dites moi dans quel club lambda en France on monte des chevaux comme ça? ![]() Elle ne voulait pas poser ^^ Pour le look HKM, notez quand même la belle selle de dressage, le petit tapis carreaux assorti au pantalon Il y a juste les protecs qui jurent mais on ne peut pas tout avoir ^^![]() "Pfff qu'est ce qu'elle me fait chier celle là!" ![]() ![]() Much better, comme dirait la mono ![]() ![]() |
Par julizz : le 10/10/14 à 19:39:44
| Dire merci | "You'll look, she's a bit lazy on the beginning", me dit la prof. Ok ça je connais ahah. En effet la miss teste un peu, heureusement on m'a passé un stick. La prof me demande dès le début de faire des leçons de jambe et bcp de transitions pour la réveiller. Au début elle est complètement ouverte, j'ai un peu de mal à me mettre avec. Et la selle de dressage sur des vrais chevaux je ne suis pas habituée ^^ Je me faisais brasser! Elle n'a pas une locomotion de fou, mais elle est très gentille et bien dressée. Le thème de la séance : sholder-in, autrement dit EED! Heureusement que les termes anglais sont pas bien compliqués, la leçon aurait été comique sinon! Au début je galérais, même au pas Je n'arrivais pas avoir de "force" dans les jambes, j'étais toute flagada, je bidouillais, n'importe quoi. Deux mois sans monter et j'avais l'impression d'avoir laisser tous mes muscles en France, c'était fou!Puis à un moment je me suis rappelée que j'avais un truc formidable qui s'appelait le poids du corps, et aussi que l'équitation était un sport et qu'il fallait être tonique! A la fin c'était mieux. Au trot j'en ai eu des pas mal, la jument commençait à se délier. Quelques captures d'écran ![]() ![]() Je me suis auto-torturée ![]() J'en avais marre de ne pas être fixe, alors zouh on enlève les étriers et c'est parti pour une heure de renforcement musculaire ![]() Demain je marcherai comme un cowboy c'est sûr! ![]() ![]() ![]() ![]() ![]() ![]() Une petite vidéo au travail au galop! Je me suis testée une petite épaule en dedans au galop, je n'en avais jamais fait avant. C'est pas trop mal je trouve ![]() Bon surement trop d'angle et je perds le mouvement en avant, mais j'étais trop contente de sentir ce mouvement! Et il y avait un mini Kim dans l'écurie ![]() |
Par julizz : le 10/10/14 à 19:42:18
| Dire merci | Bref ravie d'avoir monter, dans des installations impeccables, avec du matos de très bonne qualité, un beau cheval sympa et bien dressé... Ca fait plaisir un tel niveau d'enseignement! Mais je crois que c'est la norme ici..... |
Par camboui21 : le 10/10/14 à 19:52:16
| Dire merci | chouette!! et pour l'épaule en dedans en fait ça se fait pas en galop, on fait juste des épaules en avant!! donc oui c'est un peu trop trop d'angle, c'est pour ça qu'elle perd son galop! mais c'est cool de pouvoir monter dans d'aussi bonnes conditions, tu vas te faire plaisir!! et le mini Kim trop mignon |
Par stephy92 : le 10/10/14 à 20:06:47
| Dire merci | Ca doit te changer des jaunes lol ![]() Pour l'EDD un peu moins de pli et ça passera mieux Profite en tout cas |
Par julizz : le 24/10/14 à 10:39:00
| Dire merci | Merci les filles pour le conseil ![]() Pas eu le temps d'aller remonter, d'ailleurs je ne pense pas que je vais le faire car il faut faire des choix : voyager ou monter! Je reviens de quelques jours en Russie! Saint-Petersbourg, une ville i-mmense, remplie de jolies choses. Des bâtiments énormes avec beaucoup de charmes, des cathédrales vraiment atypiques. Néanmoins je ne me suis pas sentie trop dépaysée, c'est une partie de la Russi qui est très occidentalisée. Le changement aurait été beaucoup plus brutal à Moscou par exemple! Un des plus grosses différentes est bien sûr l'alphabet! C'est assez amusant, ils utilisent pleins de lettres que nous ne connaissons pas, et lorsqu'on les connait elles n'ont pas du tout la même prononciation! Par exemple un H fait le son N, le P fait un son R, le I est un N à l'envers.... J'ai appris mon prénom en russe, il n'y a aucune lettre latine j'adore ^^ Bref place aux photos Hermitage Museum ![]() ![]() Des fils électriques partout! ![]() Cathédrale St Isaac ![]() Une galerie marchande ![]() La façade d'un superbe magasin d'alimentation, très chic ![]() Avec tout plein de choses à l'intérieur, comme du fromage, du vrai qui vient de chez nous :happy: Je n'en ai pas mangé depuis que j'ai quitté la France, ça coûte une fortune... Et ça me manque! D'ailleurs les étrangers ont vraiment le cliché du français avec sa baugette, son vin et son fromage, c'est rigolo ![]() |
Par julizz : le 24/10/14 à 10:39:41
| Dire merci | ![]() Cathédrale Saint-Sauveur-sur-le-Sang-Versé Sublime ![]() ![]() L'intérieur, d'une beauté et d'une richesse.. ![]() ![]() Un des Zara de la ville, absolument énorme et magnifique à l'intérieur ![]() Une des nombreuses églises de la ville.. toujours une pointe de doré ![]() Ca ça m'a bien fait rire.. Deuil livrée?? Le traducteur avait fumé la moquette ^^ ![]() Cathédrale St Isaac by night ![]() ![]() ![]() ![]() |
Par julizz : le 24/10/14 à 10:40:12
| Dire merci | Un bateau transformé en salle de fitness.. excellent![]() ![]() Au petit matin, seul jour de beau temps ![]() ![]() L'autre St Petersbourg.... Et on est encore, bien sûr, dans une zone cool de la banlieue ![]() Un petit aperçu de l'alphabet cyrillique.. Tout le monde sait que les russes ont un alphabet différent du notre, mais je crois qu'on se rend compte de la difficulté que cela représente qu'une fois sur place! On ne peut même pas prononcer les mots sans bases. Et quand on ajoute à cela que quasiment aucun habitant ne parle anglais.. ![]() Tout partout autour, de grosses usines ![]() De retour dans une partie touristique ![]() Catherine Palace ![]() ![]() Dans le parc du palais ![]() ![]() |
Par julizz : le 24/10/14 à 10:40:39
| Dire merci | Le turquoise, couleur omniprésente![]() ![]() ![]() |
Par Loustix : le 24/10/14 à 11:03:55
| Dire merci | Pouah ! |
Par julizz : le 16/12/14 à 21:22:58
| Dire merci | Je remonte mon post pour vous montrer cette fois mes aventures en Laponie! Un séjour hors du temps au-delà du cercle polaire, avec pleins de de nouveautés pour moi! Je n'avais notamment jamais skié! |
Par Ice Queen : le 17/12/14 à 11:01:21
| Dire merci | Ouaaahhhh j'avais pas vu les photos de Saint Petersbourg!!! Ravie de voir que j'arrive encore à lire le cyrillique!! Bizarrement je suis sur que le russe est bien plus simple à comprendre que le finnois! Déjà le panneau y'a marqué sur la deuxième ligne Youri Gagarine (à côté du 0,9) et je pense que le premier mot ça veut dire place ou rue ![]() Pis alors la Laponie... génial!!! Tu vas jamais vouloir revenir!! |
Par stephy92 : le 17/12/14 à 11:08:15
| Dire merci | Tu as de la chance de voir tout ça, hâte de voir la Laponie |
Par nélimiha : le 17/12/14 à 13:48:40
| Dire merci | c'est magnifique ! et c'est génial que tu nous fasse partager ! ça donne vraiment envie d'y aller ! |
Par Fantômette : le 17/12/14 à 13:49:52
| Dire merci | Wouahou c'est beau Merci de faire partager ton aventure, tu nous en mets plein les yeux ![]() |
Par stephy92 : le 17/12/14 à 17:54:24
| Dire merci | J'ai pensé à toi... je viens d'appeler un client pour lui annoncer qu'il venait de gagner un voyage en... Laponie ![]() En fait c'est naze comme job, je fais gagner des voyages aux autres, mais jamais pour moi |
Par Colomba : le 17/12/14 à 18:43:51
DéconnectéDire merci | Merci pour tes magnifiques photos, elles sont à tomber ! Mais que fais tu en Laponie ? |
Par julizz : le 15/04/15 à 20:25:09
| Dire merci | Je ressors mon post des archives ![]() Je suis donc rentrée en France, depuis Noël. Kim et Quaprice vont très bien, tout va pour le mieux sur la planète poney ![]() Une nouveauté est venue s'ajouter, et une assez grosse nouveauté puisqu'elle toise environ 1m65 pour quelques centaines de kilos ![]() Je me suis achetée un cheval en février, dans l'écurie de vente où j'ai l'habitude de monter depuis quelques années maintenant. J'y ai vu passer un grand nombre de chevaux, je me suis toujours dit que je ne craquerai pas et finalement ![]() Tabou est donc venu grandir les rangs. C'est un gentil et costaud PS de 8 ans, débourré début 2015. J'ai pu le monter une petite dizaine de fois aux écuries. Malgré qu'il soit très vert, il montrait de bonnes dispositions, il avait un caractère top et sa tête me parlait bien ![]() Je m'étais toujours dit PAS DE PS, je veux un KWPN, un SBS, un truc qui claque quoi Mais voilà je me suis décidée pour un rosbif ^^ Par contre, je l'ai acheté pour le "valoriser" ( à prendre avec pleins de guillemets, loin de moi l'idée d'être une pro pour ça ). Depuis le début il est clair avec mes parents qu'il sera à vendre à la fin de cet été. C'est trop contraignant pour eux d'avoir trois à chevaux à s'occuper l'hiver ( j'habite sur mon lieu d'étude, mais je rentre plusieurs fois par semaine pour monter ). Je profite donc d'avoir pour le moment un cheval sympa à bosser. On a commencé les cso. Il a un super comportement, pas perturbé pour un sous. Il a de l'expérience à prendre, il fait des fautes de bébé. Quand je dis fautes, c'est très rarement des barres comme l'illustre cette photo ![]() ![]() Mais des refus devant des obstacles regardants. Il est de bonne volonté et je suis sûre qu'à la fin de la saison il sera un très chouette cheval d'amateur. ![]() Quelques photos de lui de notre séance d'aujourd'hui ![]() ![]() ![]() ![]() ![]() ![]() ![]() ![]() |
Par camboui21 : le 15/04/15 à 21:01:29
| Dire merci | géniale les nouvelles!!! contente que tu es trouvé un dadou a travailler et avec qui tu puisses t"éclater sur les barres |
Par julizz : le 23/04/15 à 13:19:02
| Dire merci | C'est un chouette cheval Tabou, on s'entend bien. Il est complètement différent de mes deux poneys, ça me fait du bien de travailler un tout autre style de cheval. Quelques photos en vrac de notre séance de mardi. ![]() ![]() Une caresse ![]() Encore une caresse ^^ ![]() ![]() Il commence à prendre de jolies formes ![]() ![]() ![]() Le plus gros boulot à faire est la rectitude. Ca commence à rentrer. ![]() ![]() |
Par Vanessa14 : le 23/04/15 à 15:22:32
| Dire merci | super ! il te va bien ! ![]() la carrière c'est chez toi ? c'est une combien par combien ? tu as décaisser et tout le tralala ?quel type de sable ? |
Par noémmie : le 23/04/15 à 16:02:27
| Dire merci | Tu avais des choses à rattraper sur ce post Julizz les photos sont vraiment chouette, contente Non @Vanessa14 c'est chez moi, tu auras toutes les réponses à tes questions sur ce post ![]() Lien |
Par Fantômette : le 23/04/15 à 16:10:15
| Dire merci | Il est tres joli ce "petit" nouveau |
Par Loustix : le 23/04/15 à 16:17:48
| Dire merci | Des nouvelles ! Trop top tt ça ! ![]() |
Par julizz : le 25/04/15 à 13:08:56
| Dire merci | Merci les filles Oui Vanessa, la carrière est chez ma voisine noémmie qui accepte très gentiment que je monte dedans ![]() Hier nous étions de nouveau en concours. La week end dernier nous y étions aussi, et je n'étais pas très fière de moi. Tabou a montré comme à chaque fois une bravoure incroyable, une générosité à toute épreuve, sauvant toutes mes fautes et se décarcassant pour ne pas toucher une barre, peu importe la qualité de l'abord. Vraiment je me demande comment s'est possible qu'il n'ait pas essayé de me planter car j'ai fais pleins de bêtises. Bref, un mental incroyable, ce qui donne un SF dans la 1m et deux barres dans la 1m05. Hier c'était plus soft puisqu'il n'a fait qu'un tour en 1m. Et là, gros changement, j'ai vraiment kiffé mon tour! La semaine dernière, je suis restée le frein à main serrée, j'allais contre son mouvement, je voulais trop de contrôle. Résultat il était tout contracté, un peu en bagarre. Donc hier, je me suis fixée comme consigne de garder un contact relâché tout du long, même si le rythme est un peu rapide. Et comme par miracle Ca a marché! C'est sûr que ça va tout de suite mieux quand arrête de tirer à tout bout de champ !! Il s'est très rapidement calé dans une bonne cadence, pas trop rapide mais qui lui permettait de faire des sauts dans la fluidité, sans trop forcer. Il a quand même fait de sacrés bons Mais ce n'était pas dans l'effort. Il est vraiment super pour un cheval avec aussi peu d'expérience. Il ne regarde rien, ne se pose aucune question, le côté tête brulée du PS peut-être ? Et j'avoue que c'est hyper agréable. J'ai juste à le mettre devant, tendre attendre et pouf ça saute ![]() Tout le tour s'est donc très bien passé, même le double qui est passé de façon bien fluide! Jusqu'au dernier obstacle où j'ai tout fait capoter Je n'ai pas vu ma foulée, Tabou était un peu moins tonique et on embarque le dernier plan de l'oxer.Mais pas grave du tout, ce tour ci n'avait rien à voir avec les précédents. J'avais l'impression qu'on était en phase! J'ai acheté deux photos au photographe! ![]() On dirait que c'était un calvaire vu ma tête ![]() |
Par julizz : le 15/05/15 à 20:19:31
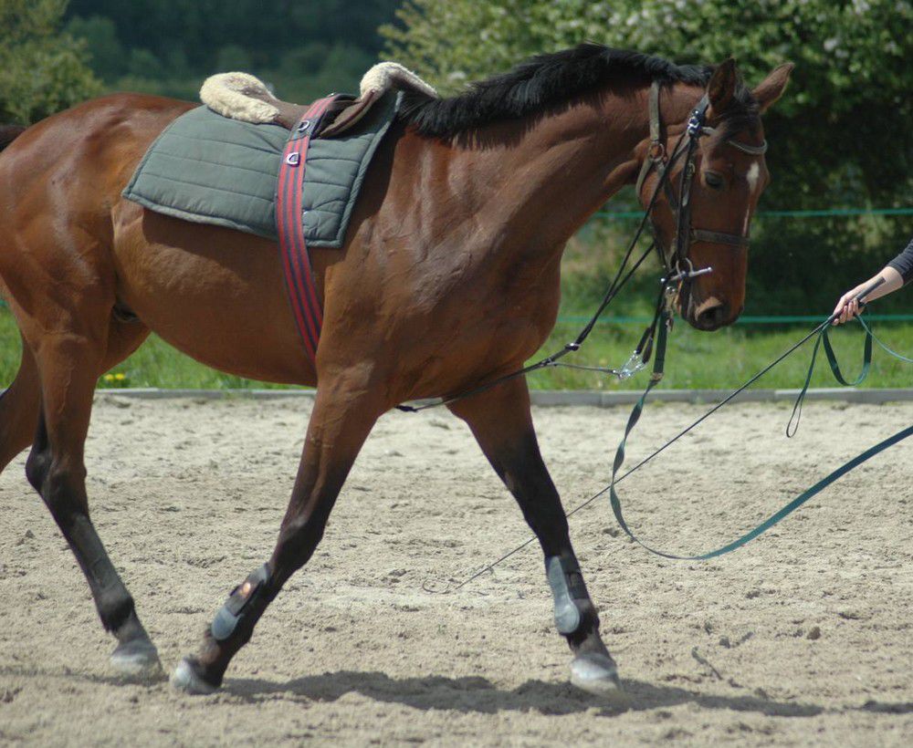
| Dire merci | Quelques photos du pépère d'aujourd'hui, travail à la longe avec des barres au sol Il était très chouette, j'ai vraiment senti son pas changer au fil de la séance. A la fin il était super délié, décontracté, le dos monté, engagé... Quelques tours de trot pour finir et pas mal aussi. Les barres au sol l'ont aidé à se délier j'ai l'impression, c'est un bon exercice. On explique l'exercice ![]() Il s'est bien arrondit et depuis assez massif, ça me plait ![]() ![]() Studieux! ![]() ![]() Enrênement super serré pour plus d'efficacité ![]() ![]() ![]() |
Par LindaetTilt : le 15/05/15 à 21:06:15
| Dire merci | Coucou ! Alors pour commencer je suis fan de ton travail autant sur tes poneys que sur ce dernier "grand" loulou Je voudrais également savoir de combien tu espaces tes barres aux sol ? E ce que cela permet de travailler pour ton cheval ? |
Par julizz : le 15/05/15 à 21:23:13
| Dire merci | Oh merci c'est gentil Pour les barres c'est au pifomètre J'ai mis l'espace de quatre pieds. J'ai essayé et ça lui convenait bien |
Page : < < | 5 | 6 | 7 | 8 | 9 | 10 | 11 | 12 | 13 | 14 | 15
Pour préserver la qualité de ce forum, vous devez être membre pour participer à cette discussion..
Il y a actuellement (69 464) membres dans la communauté.
Devenez membre | Connectez vous


Déconnecté
































En ligne




Dites moi dans quel club lambda en France on monte des chevaux comme ça? 








































































Je n'ai pas vu ma foulée, Tabou était un peu moins tonique et on embarque le dernier plan de l'oxer.

















