Opige le n'orange !!
Sujet commencé par : Opige - Il y a 10045 réponses à ce sujet, dernière réponse par Opige5 personnes suivent ce sujet.
Par Opige : le 25/07/08 à 14:51:45
Déconnecté | Voilà suite à la demande de plusieur personne surtout une certaine blonde, je crée enfin un post sur mon gentil jaune. Il s'agit d'un petit PS de 4 ans maintenant. Nos chemins se sont croisés il y a un peu plus d'un an maintenant et chaque jour il m'apporte un peu plus de joie. Lors je vais partager avec vous les plus beaux moments qu'il m'offre. Pour commencer un petit portait pris au mois d'avril alors qu'il était blessé au garot. Et parce que c'est le plus beau !! |
Messages 5041 à 5080, Page : < < | 119 | 120 | 121 | 122 | 123 | 124 | 125 | 126 | 127 | 128 | 129 | 130 | 131 | 132 | 133 | 134 | 135 > >
Par Opige : le 02/07/10 à 11:43:06
Déconnecté | SOMMAIRE: Page 76: Photos de TREC Page 78: La Grange Page 79: Balade avec Llun Page 80: Jeux bêtes Page 81: vidéo séance d'obstacle Page 82 et 83: Photos en vrac Page 84: c'est bon un Exor ??? Page 85: Photos inutiles ! Page 87: 1er rando 2010 Page 89: Un soir au paradis ! Page 90 et 94: Nimportnawak ! Page 98: La grange + Pige au pré + avec les copains! Page 106: Les grains de beauté du jaune ! Page 107: Balade avec Korky le poney de Mapepette ! Page 108: La grange ! Page 109: UNE photo du jaune + compte rendu ostéo ! Page 112: Mes bleus Page 113: Chat perché ! Page 117: Le jaune chez ma coach ! Page 118: Les nouveaux arrivants ! Page 120: Pige en liberté ! Page 122: Séance avec Chacha du fofo, pour commencer détente avec moi Page 123: Séance avec Chacha du fofo, la suite de la détente et l'essai de Chacha !! + Mon chéri a cheval tout seul !! Page 126: Luna fait de la moto ! Le post de Scarlett !! Lien |
Par Opige : le 02/07/10 à 11:45:52
Déconnecté | Bon deuxieme jours de boulot et apparement y a manif dans l'air des agents d'exploitation !! Commence bien |
Par keradeline : le 02/07/10 à 13:20:53
| Dire merci | tu débarques au bon moment ! |
Par Opige : le 02/07/10 à 13:37:25
Déconnecté | Oui mais mon deuxieme nom c'est miss boulette donc je dois vraiment le porté sur moi ! |
Par marsupylami : le 02/07/10 à 14:58:50
| Dire merci | Je croyais que tu pouvais pas etre trop sur le fofo la journée |
Par Opige : le 02/07/10 à 14:59:30
Déconnecté | Euh oui ![]() |
Par marsupylami : le 02/07/10 à 15:02:38
| Dire merci | En meme temps si ya manif .... Et il est revenu te voir le fan de foot ??? |
Par Opige : le 02/07/10 à 15:07:04
Déconnecté | C'est lui qui nous a appris pour la "manif" ... ba il est un peu froid mais bon ! Et puis c'est finit la manif là ! |
Par marsupylami : le 02/07/10 à 15:21:00
| Dire merci | La prochaine fois qu'il y a un match prend lui des places ou pas ... |
Par Opige : le 02/07/10 à 15:26:33
Déconnecté | Risque pas il a un abonnement a l'année dans la tribune présidentielle !! Un fanatic je te dis ! ![]() |
Par marsupylami : le 02/07/10 à 15:28:53
| Dire merci | Ohhh non !! tu as tiré le gros lot !! ![]() |
Par Maathiilde : le 02/07/10 à 15:39:21
| Dire merci | Simpatique le nouveau collègue |
Par chachagirl49 : le 03/07/10 à 08:58:13
Déconnecté | je viens de lire pour ton nouveau taff, lol le collègue et le sco d'angers..moi aussi j'en ai rien a foutre mdr !!! aller courage, c'est tjs chiant au début et fait chier par contre que tu seras moins sur le fofo.. |
Par Opige : le 03/07/10 à 13:58:01
Déconnecté | Oh t'inquietes pour le fofo ca va aller je suis encore là le soir !! Et puis bon c'est pas bien d'y etre au boulot Je reviens de monté le jaune, il a été top génial comme j'aime ! Chaud mais général, de la puissance sous le cul quoi ! Il a essayé de paddocker direct quand je suis montée dessus mais avec une rene d'ouverture et petit coup de talon a l'extérieur et hop il est reparti dans le bon sens !!En fin de séance je suis partie faire le tour de la piste nickel il a pas cherché a paddocké ... hop on fait le tour tranquillou bien qu'il était pas tres rassuré a cause de je sais pas quoi !! Donc je lui ai beaucoup parlé et là j'ai pensé a Marsu qui chante pour sa juju donc j'ai fait pareil ! On revient devant l'entrée de la carrière là je decide d'y retourné ... et Môsieur jaune n'etait pas franchement d'accord mais avec la meme technique du début plus un gros non on est retourné dans la carriere un peu de travail vite fait (genre un départ au galop a chaque main !) et je suis descendu au milieu de la carrière rentré a pied !! Donc je suis sur un petit nuage aujourd'hui grace a mon jaune parce que je commence a trouver les boutons (grace a ma coach un peu quand meme !) |
Par laska : le 03/07/10 à 15:45:22
| Dire merci | Contente de voir que tout va bien! Chanter, c'est le top! Zaz adore "Pirouette Cacaouette... il était un petit homme" On passe pour des nouilles mais au moins, on y va! |
Par Opige : le 03/07/10 à 16:15:55
Déconnecté | Je tenterai !! Il faut que je trouve une chanson ou on parle de jaune |
Par Nenya : le 03/07/10 à 19:13:58
| Dire merci | Trop chouette cette dernière séance je trouve . Il a fait des progrès depuis la dernière fois niveau comportement. Ta coatch l'a remonté? Et PTDR ton collègue : |
Par Opige : le 03/07/10 à 22:00:21
Déconnecté | Neyna ma coach l'a monté mercredi ... ca lui a fait le plus grand bien |
Par marsupylami : le 04/07/10 à 15:51:23
| Dire merci | C'est pas moi qui chante, je sais pas chanter. Par contre moi je siffle et je lui parle comme à un bébé Je suis contente de lire que ça commence à rentrer dans l'ordre petit à petit. Tu vas le mater le jaune ! ![]() |
Par elphe : le 04/07/10 à 19:56:45
| Dire merci | +1000000 avec Marsu, je suis super contente que tout commence à revenir dans l'odre! Je chante aussi à poupétasse, et je lui chante l'hymne américaine! ![]() |
Par vanou85 : le 04/07/10 à 20:41:15
Par Opige : le 07/07/10 à 08:21:31
Déconnecté | Bonjour tout le monde ! vous croyez que c'est bien d'arrive un peu pres a la meme heure que mon directeur ;D C'est dingue il y a encore personne dans les bureaux ... c'est la premiere fois que je vois ca ![]() |
Par vanou85 : le 07/07/10 à 08:28:27
| Dire merci | Des vrais fonctionnaires quoi! ![]() Quand j'arrive au bureau, à 8h, je suis souvent dans les premières aussi! |
Par Opige : le 07/07/10 à 08:33:31
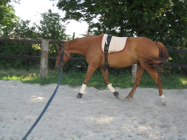
Déconnecté | Sinon j'ai vu le jaune hier ... son nouveau pote Depeche-toi c'est bien amusé avec son flymask (il est tout bousiller et irrécuperable ... heureusement je l'ai pas payé !) J'ai fait le tour de ma bete mis un peu de cotivet sur les nouveaux bobos et j'ai fait le tour de l'ecurie avec une copine (pour lui présenter les installations) et pige en longe !! Il a un peu halluciné mais bon je crois qu'il commence a etre blassé de mes idéesz tordus !! Aujourd'hui longe |
Par laska : le 07/07/10 à 09:35:48
| Dire merci | Au moins, tu as des collègues de boulot! Moi, je m'ennuie toute seule Puis si tu vois que les autres prennent des libertés avec les horaires... dis-toi qu'un jour, si il fait beau, que tu penses trop au jaune... (ben tu feras pareil )Photos ce soir? |
Par Opige : le 07/07/10 à 09:44:38
Déconnecté | en fait on a des plages variables et des plages fixes !! Donc il faut absolument etre là de 9h à 11h30 et de 14h a 16h30 ... et tu dois faire 7h35 dans ta journée !! en sachant que tu peux epargner 8h au max ! |
Par elphe : le 07/07/10 à 16:02:58
| Dire merci | comme c'est beau la vie de fonctionnaire! ![]() |
Par Opige : le 07/07/10 à 16:10:02
Déconnecté | Euh oui enfin je travaille 39h par semaine comme tout le monde enfin non pardon 35h comme tout le monde |
Par Opige : le 07/07/10 à 20:05:07
Par Opige : le 07/07/10 à 20:08:24
Par vanou85 : le 07/07/10 à 20:56:52
| Dire merci | Cool des nouvelles photos! ![]() Ils ont tous leur tête de malheureux en ce moment quand on va les chercher au pré. Ces mouches... ils en peuvent plus! ![]() C'est top comment il se tient bas en longe! Il ne tend jamais son gogue à ce qu'on dirait?! |
Par marsupylami : le 07/07/10 à 21:42:04
| Dire merci | Qu'est ce que ça lui va bien le beige au grand ! Je sais pas si c'est une impression ou quoi mais je trouve qu'il a un chouillas maigri. |
Par Opige : le 07/07/10 à 22:40:48
Déconnecté | C'est l'ensemble de mon mariage marsu !! pour une fois il est pas en bleu !!Vanou ... en effet, il se tend pas trop sur son gogue ... mais ca a mis du temps et si je lui met pas et ba il fait bambi Et oui il maigrit gentillement en se musclant ![]() |
Par lonestarranchcowboy : le 07/07/10 à 22:49:28
| Dire merci | j'ai chaud rien que de voir le jaune bosser sous le soleil Il est bien courageux |
Par Opige : le 07/07/10 à 23:02:31
Déconnecté | tu parles il a pas le choix non mais il était presque a l'ombre qu'on voit ... il devait y avoir un quart du cercle au soleil ... et puis ca fait fondre la graisse ![]() Finalement je devrais peut etre le mettre au centre et moi trotter sur le cercle |
Par elphe : le 08/07/10 à 08:52:31
| Dire merci | Super ces photos! Il a une bonne attitude!![]() Finalement je devrais peut etre le mettre au centre et moi trotter sur le cercle Je suis sûre que Pige n'y verrai aucun inconvénient! ![]() |
Par lonestarranchcowboy : le 08/07/10 à 10:24:09
| Dire merci | du cercle au soleil ... et puis ca fait fondre la graisse Finalement je devrais peut etre le mettre au centre et moi trotter sur le cercle ouaiii ça c'est une ideé tu demandes à ton mari de vous longer tous les deux... Pige devant, toi derrière et si t'avances moins vite que Pige, paf quelques coups de chambrière dans les mollets |
Par Opige : le 08/07/10 à 10:38:00
Déconnecté | Mais t'es un vrai sadique ... t'es pire que moi !! Ca va pas du tout !de toute facon ton idée elle est foireuse chéri il sait pas longé ... et comme c'est moi qui sait, c'est moi qui détiens le pouvoir et ba je vais pas lui apprendre !! |
Par lonestarranchcowboy : le 08/07/10 à 10:47:39
| Dire merci | c'est vite appris la longe et le fouet (hum là ça fait un peu SM quand même) |
Par Opige : le 08/07/10 à 10:58:40
Déconnecté | Ouai du coup j'ai peur qu'il y prenne plaisir ... un coté caché la comme ca ... arffffffff ca fait peur quand meme |
Page : < < | 119 | 120 | 121 | 122 | 123 | 124 | 125 | 126 | 127 | 128 | 129 | 130 | 131 | 132 | 133 | 134 | 135 > >
Pour préserver la qualité de ce forum, vous devez être membre pour participer à cette discussion..
Il y a actuellement (69 357) membres dans la communauté.
Devenez membre | Connectez vous

Déconnecté







. Il a fait des progrès depuis la dernière fois niveau comportement.



)











