Estimation cheval (encore !)
Sujet commencé par : Bea64 - Il y a 17 réponses à ce sujet, dernière réponse par Bea64Par Bea64 : le 03/08/11 à 19:25:10
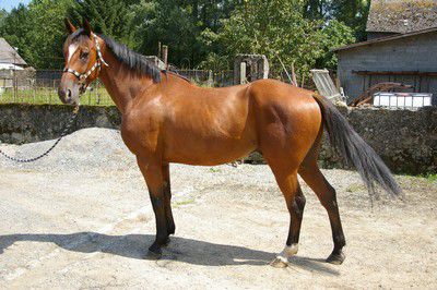
| Dire merci | Bonjour, J'ai besoin de vos avis pour l'estimation d'un petit trotteur que nous voulons vendre (car nous n'avons pas le niveau pour ce type de cheval) Voici l'annonce : A vendre gentil petit trotteur bai PP hongre de 5 ans, SIR DU PASTERET (petite taille >1.60m) par par GAME JET et GRIVE DE BOISROND débourré et monté au trois allures, respecte l'homme et les clotures. En DP avec un galop 7, commence a apprendre quelques bases (saut, figure simple) Part en promenade seul ou en groupe. Un peu craintif mais apprends très vite, pour cavalier confirmé qui pourra exploiter son potentiel. Voici les photos, je dois en selectionner 3. ![]() ![]() ![]() ![]() ![]() ![]() ![]() ![]() |
Messages 1 à 17, Page : 1
Par riverjap : le 03/08/11 à 20:37:57
| Dire merci | franchement avec la quantité de trotteur sur le marché au prix de la viande je dirais pas bien plus après il est pas a redébourré donc allez 1000 euros enfin moi je mettrais pas plus |
Par Bea64 : le 03/08/11 à 20:45:29
| Dire merci | Merci Riverjap ! D'autres avis ? Qualités ? Défauts ? Je me rends pas bien compte ... |
Par Bilye : le 03/08/11 à 20:49:20
| Dire merci | Moi je dirais un peu plus 1500 minimum, il est quand même pas vieux et il connait les bases ![]() Et je trouve qu'il a une bonne bouille de trottou ! |
Par nous : le 03/08/11 à 20:49:57
| Dire merci | c'est un demi frere au mien... ![]() sinon 1200euros peut etre mais pas bien plus, il a pas beaucoup de boulot, apres c'est du TF donc souvent beaucoup d'apriori et qualité chevaux adorables! |
Par Bea64 : le 03/08/11 à 20:57:02
| Dire merci | Bilye : oui il est adorable (chez lui la bouille va avec le caractère) et la vie ne l'a pas épargné ! Nous : il s'appelle comment le tien, as tu une photos ? On s'en sépare justement parce qu'il y a beaucoup de boulot et que nous n'avons pas le niveau pour lui apprendre. Il peut faire le bonheur d'un ou une cavalier qui pourra le faire a sa main. |
Par nanette : le 03/08/11 à 21:00:10
| Dire merci | le prix peut varier selon s'il a couru ou non Donc a t'il couru ? |
Par Bea64 : le 03/08/11 à 21:23:40
| Dire merci | Il n'a jamais couru nanette, il n'a meme pas passé les qualifications par contre il a été entrainé parce qu'il allonge quand il accelère |
Par Bea64 : le 03/08/11 à 21:30:57
| Dire merci | Concernant les photos d'après vous, lesquelles sont les plus vendeuses ? J'en ai trois a selectionner... |
Par Bestline : le 03/08/11 à 21:43:21
| Dire merci | Je dirais 1200-1300 .. Pour les photos, la 2, 3 et p-t la 4e ? pour moi .. |
Par Taraccab : le 03/08/11 à 21:44:41
| Dire merci | Moi je dirais 2 5 6 pour les photos ... Une du loulou en entier + une en mouvement et après ... a choisir |
Par harasdefly : le 04/08/11 à 12:13:57
| Dire merci | je dirais "autour de 1000" pour qu'un TF passe les 1500, il faut vraiment qu'il ait un look, des aptitudes et un dressage ++ ![]() |
Par ttr0pchoutoi : le 04/08/11 à 12:20:22
| Dire merci | pour l'évaluation je sais pas mais pour les photos, met celle ou il galope en plus d'une au modèle ![]() |
Par harasdefly : le 04/08/11 à 12:22:07
| Dire merci | c'est vrai que pour vendre un TF, une photo ou mieux : une vidéo au galop c'est bcp plus vendeur. et une photo sur une barre, çà aide bien aussi ![]() |
Par mon quidam : le 04/08/11 à 12:24:41
| Dire merci | Moi je te dirais de le proposer à 1 200 €, sachant que c'est toujours discutable, pour tomber sur 1 000... Après, pour les photo, la seconde en pied, celle au galop, et la dernière rene longue... |
Par sinady : le 04/08/11 à 16:47:17
| Dire merci | Dans les 1400 E , ça se vends pas cher les trotteur de part des apprioris . il est jeune dans le travail . |
Par nous : le 05/08/11 à 17:27:35
| Dire merci | le mien Semillant drulhois![]() j'ai egalement un autre demi frere à la maison mais qui n'est pas à moi, tous les 3 ont le meme papa et qui ont 5ans tous les 2 aussi!apres le mien à plus de boulot et l'autre tres peu et super mental pour chacun. |
Par Bea64 : le 05/08/11 à 19:30:12
| Dire merci | nous : merci pour la photo, il a l'air plus grand et plus fin que SIR. SIR a toujours été très musclé même quand il n'en glandouillait pas une ![]() Finalement, j'ai mis l'annonce : Lien Merci a tous et a toutes pour vos suggestions. |
Page : 1
Pour préserver la qualité de ce forum, vous devez être membre pour participer à cette discussion..
Il y a actuellement (69 358) membres dans la communauté.
Devenez membre | Connectez vous


Déconnecté





























