Est que quelqu'un sait ce que c'est ?
Sujet commencé par : Bea64 - Il y a 21 réponses à ce sujet, dernière réponse par Bea64Par Bea64 : le 13/06/10 à 20:40:59
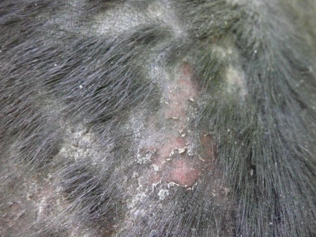
| Dire merci | Depuis le debut du printemps REGAL a des demangeaisons, des petites croutes sont apparues à la racine du toupet et maintenant il en a partout sur la tête : [url=https://www.1cheval.com/membre/services/photos/images/64796.jpg] ![]() ![]() ![]() ![]() Avez vous deja vu ? savez vous ce que c'est ? J'ai mis du mitosyl ça lui soulage les démangeaisons |
Messages 1 à 21, Page : 1
Par dorotheem : le 13/06/10 à 21:01:43
| Dire merci | slt oui g deja vu ca se sont des darte generalament se son les vache ki ont sa mais peu etre transmit par contact avec l homme il fau aller a la pharmacie tu demande de la creme contre des dartes (une sorte de champi) |
Par Sahel46 : le 13/06/10 à 21:13:38
| Dire merci | Tu es sûre Dorotheem? Je croyais que les dartres n'étaient que de forme ronde![]() |
Par Bea64 : le 13/06/10 à 21:17:03
| Dire merci | Il semble que ce soit contagieux car aujourd'hui j'en ai vu sur Labeo :![]() ![]() ![]() et meme Oberon ![]() |
Par Amazon87 : le 13/06/10 à 21:18:43
| peut être de la gale. |
Par Bea64 : le 13/06/10 à 21:18:55
| Dire merci | merci dorotheem J'ai jamais entendu parler. Crois tu que la teinture d'iode soit efficace (traitement des champignons) |
Par OMBRAGEUSE : le 14/06/10 à 09:27:39
| Dire merci | ça ressemble surtout à des poux !! Regarde attentivement partout si tu ne vois pas des bêtes mais ça ressemble vraiment à ça sur les miens j'ai eu un début d'infestation au printemps (acadrex 60 est mon ami).... C'est une année à poux selon mes vétos il y en a partout ![]() |
Par dorotheem : le 14/06/10 à 12:26:53
| Dire merci | on pe trouver des darte de toute les forme et c tres contagieux je ne pense pas que se soit des poux sinon il gratterai tres fort |
Par diabinha : le 14/06/10 à 16:42:19
DéconnectéDire merci | que donnes tu comme alimentation ? j ai eu se probleme sur une ponette qui venait d arriver chez moi son aliment etait frelaté et de mauvaise qualité on a changé l alimentation et hop fini |
Par Bea64 : le 14/06/10 à 20:47:14
| Dire merci | Merci pour toutes vos idées Amazon87 : j'espère que ce n'est pas la gale!!! OMBRAGEUSE : c'est pas idiot et bien que je n'ai rien vu, cela ressemble a des piqures surtout sur Labéo (le bai) dorotheem : les darthes c'est aussi une piste a étudier (d'ailleurs ça demange mais pas au point de se mettre en sang) diabinha : nourri exclusivement a l'herbe et au foin (issu de nos prairies non traitées) du bio de chez bio par contre abreuvé au ruisseau et vu la pollution ?? Bon comme j'ai de l'acadrex et de la teinture d'iode on va faire par élimination. OMBRAGEUSE : tu l'appliques comment l'acadrex ? pur ou mélangé avec de l'eau ? |
Par toccalon50 : le 14/06/10 à 21:42:29
| Dire merci | Pour moi ça serait plutôt la teigne ! |
Par Christophe49 : le 15/06/10 à 09:12:37
| Dire merci | La teigne et les dartres, c'est la même chose. Les poux, les dartres, c'est pas facile de faire la différence sur photo. Donc entre les 2, 'mon coeur balance'. |
Par lulug22 : le 15/06/10 à 19:58:46
| Dire merci | La mienne a eu des poux au printemps, ca ressemblait énormément à ca ! Regarde bien partout si tu vois pas de poux (ou des lantes) Moi on les voyait très bien à la racine de la crinière. Si tu ne les vois pas, demandes une analyse à ton véto ! J'ai traité à l'acardex 3 fois à 8 jours d'interval, plus de problèmes depuis, les poils ont repoussés et les plaques on disparues. Bonne chance ! ![]() |
Par nessie : le 18/06/10 à 21:26:06
| Dire merci | un de mes poulains avait choppé une dartre (chez moi le chevaux vivent avec les vaches) et jai mis de l'huile de vidange et c'est radical![]() |
Par fjord12hest : le 25/06/10 à 16:09:04
| Dire merci | hop, on remonte ... |
Par urkhan : le 25/06/10 à 22:25:21
| Dire merci | je traite mes chevaux qui font aussi ce genre de dépilations localisées sur la tête avec de l'imavéral, ça fonctionne très bien pour les lésions liées à des mycoses![]() |
Par cowatch71 : le 30/06/10 à 11:28:54
| Dire merci | c'est un champignon, et c'est contagieux. |
Par fjord12hest : le 28/07/10 à 15:53:01
| Dire merci | hop, on remonte ... |
Par syrius : le 28/07/10 à 17:34:59
| Dire merci | Je fais part de mon expérience, une de nos juments a eu la même chose, traitement contre gale, contre teigne et poux n'ont rien fait, les plaques s'étendaient... Il s'agissait en fait d'une maladie auto-immune, diagnostiquée par un vétérinaire dermato équin à l'ENVL. C'est parti aussi vite que c'est arrivé, au bout de 3 semaines. |
Par carabouille : le 29/07/10 à 21:06:50
| Dire merci | ca ressemble bien à la teigne qd même........ ![]() |
Par al : le 31/07/10 à 07:16:52
| Dire merci | les traces de teigne sont generalement tres circulaires, le champignon progressant de facon a peu pres symetrique depuis un point, donc ca fait des cercles |
Par Bea64 : le 24/08/10 à 18:53:56
| Dire merci | Bonjour, Je vous remercie tous pour vous réponse, je ne sais toujours pas ce que c'est mais ils ont eu le traitement IMAVERAL + ACADREX et c'est parti aussi vite que c'est venu. Merci encore... |
Page : 1
Pour préserver la qualité de ce forum, vous devez être membre pour participer à cette discussion..
Il y a actuellement (69 364) membres dans la communauté.
Devenez membre | Connectez vous


Déconnecté
































